广州喝茶工作室,同城空降服务同城附近喝茶网 ,qq官方月抛群入口,全国伴游大圈招聘全球高端私人定制社交平台

首页>今日读图今日读图

“山竹”会被除名吗?其前任“榴莲”就因太凶被除名

2018年09月18日 14:07 | 来源:中国新闻网
分享到: 

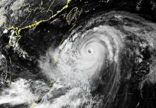
点击进入下一页

台风“山竹”卫星云图。图片来源:中央气象台

网友热议“山竹”该不该除名

——专家:截至目前已有36个台风名称被清除

“风王”、“超级台风”、“最强台风”……自“山竹”生成以来,舆论对于“山竹”威力的形容词不断涌现。

自“山竹”影响逐步显现以来,华南多地网友就在互联网上晒出“风王”的凶悍威力。

16日13时许,“山竹”登陆之前,深圳市气象局官微“深圳天气”甚至还@中央气象台,表示申请除名“山竹”,冷酷的“山竹”该不该除名也引发网友的讨论。

中国气象局台风与海洋气象预报中心首席预报员高拴柱介绍,台风的名字,来自世界气象组织所属的亚太地区14个国家和地区各提供10个名字而组成的140个备用名。这140个名称始终处于循环使用的状态,直到“退役”的那一天。

编辑:周佳佳

关键词:台风 山竹 除名 暴雨

更多

更多